Actualidad
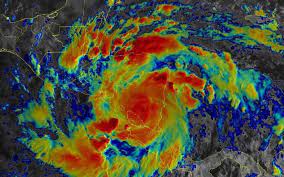
Huracán “Julia” impacta en Nicaragua
Nacionales
Ueno Bank lanza “Nivel Mundial” para vivir el sueño de la Albirroja
Actualidad
Díaz Gill presenta nuevo portafolio genético y alianza con Ciera Genomics
Nacionales
¡PUNTO FARMA ENTREGA EL PREMIO A LA GANADORA DEL VIAJE AL MUNDIAL!
-
Noticiashace 7 días
Más Money inaugura el Ciclo de Seminarios 2026: “Educación Financiera como Eje Estratégico del Desarrollo”
-
Noticiashace 7 días
Asunción se pone en movimiento con el lanzamiento oficial de los World Skate Games ASU26
-
Empresarialeshace 7 días
FORTALEZA REALIZA LAS PRIMERAS ADJUDICACIONES DE 2026 EN FORTALEZA SAN MARTÍN
-
Noticiashace 6 días
HISTÓRICO: CUADERNOS AVON LANZA EL PRIMER CUADERNO INCLUSIVO PARA PERSONAS CON NEURODIVERSIDAD EN PARAGUAY
-
Noticiashace 6 días
TOP SELLER 2026 DISTINGUIÓ A 67 MARCAS LÍDERES DEL SUPERMERCADISMO PARAGUAYO
-
Noticiashace 6 días
NICE PARAGUAY ABRE SU NUEVA TIENDA EN EL SHOPPING MARISCAL
-
Empresarialeshace 6 días
Chery M7: espacio, tecnología y confort, una SUV pensada para los que piensan en grande
-
Empresarialeshace 6 días
Lotto renovó su alianza con el Círculo Paraguayo de Árbitros



fuente: cnn y infobae